Service Guide

Get Ants Extermination Service

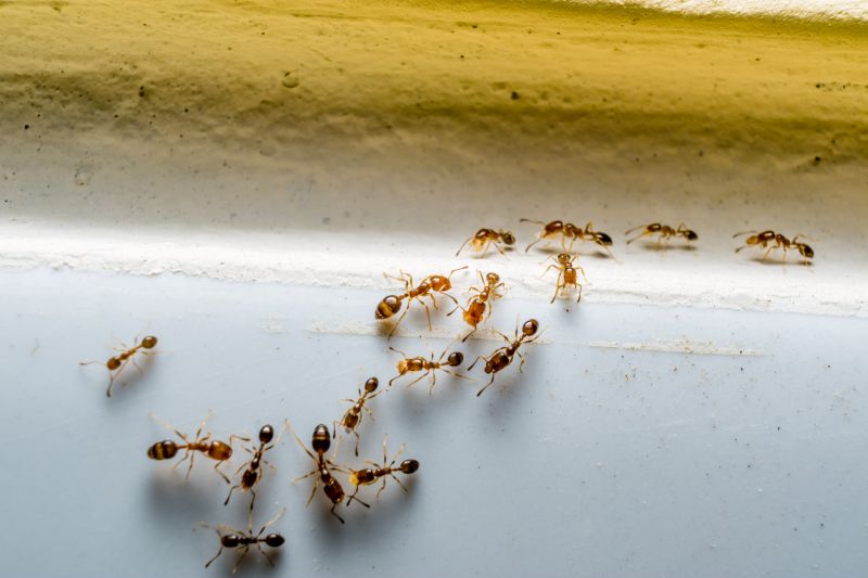
Local contractors offer ant extermination services to eliminate infestations and protect properties from damage caused by ants.

Ants can be a persistent nuisance for property owners in the area, often invading homes and outdoor spaces in search of food and shelter. If you’re noticing signs of an ant problem, it’s important to explore your options for effective extermination. This page provides helpful information to compare local service providers who specialize in ant control, ensuring you find the right solution for your property’s needs. Staying informed about available services can assist in planning your pest management approach and maintaining a comfortable, pest-free environment.

Property owners considering ant extermination services often seek reliable local contractors with proven experience in managing ant infestations. By reviewing available options, you can identify professionals equipped to handle the specific challenges of ant control in your area. Keep reading to learn more about how local service providers can help address your ant concerns and provide tailored solutions to protect your property.

Get Ants Extermination Service Quotes

  • Ants Extermination - needed when ants have invaded a home or business and are difficult to control.
  • Ants Prevention - required to protect properties from recurring ant infestations.
  • Ants Inspection - necessary when signs of ant activity are observed but the source is unclear.
  • Ants Barrier Treatments - used to create a protective barrier around a property to deter ant entry.
  • Ants Removal Services - sought when existing ant colonies need to be safely and effectively eliminated.
Ants Extermination Service
Ants Extermination Service
Ants Extermination Service

Ants extermination services involve identifying and eliminating ant colonies that invade residential properties. Service providers typically conduct a thorough inspection to locate ant trails, nests, and entry points. Once the problem areas are identified, they apply targeted treatments such as baits, sprays, or dusts designed to eliminate ants at their source. These treatments are chosen to effectively reduce the ant population and prevent future infestations, helping homeowners restore comfort and peace of mind in their living spaces.

Ant problems can lead to a variety of issues for homeowners. Beyond the nuisance of constant ant activity, some species can cause damage by chewing through wood, insulation, or wiring. Additionally, ants can contaminate food supplies and surfaces, creating hygiene concerns. Service providers help address these problems by eradicating existing colonies and implementing preventative measures to keep ants from returning. This proactive approach is especially important in homes where food storage, pet areas, or kitchens are frequently affected.

The types of properties that typically utilize ant extermination services include single-family homes, apartment complexes, condominiums, and townhouses. Any residential property that experiences recurring ant activity or signs of an infestation may benefit from professional treatment. Commercial properties such as restaurants, food storage facilities, and retail spaces may also require ant control services to maintain cleanliness and comply with health standards. Local contractors tailor their solutions to suit the specific needs of each property type, ensuring effective and lasting results.

Homeowners often seek ant extermination services when they notice ants crawling across countertops, along baseboards, or near entry points like doors and windows. Visible trails or large colonies inside walls and under floors are clear signs that professional intervention may be necessary. These services are designed to address both immediate infestations and underlying causes, such as cracks or gaps in the foundation. Contacting local service providers can help determine the best treatment plan to protect the home from persistent ant problems.

The overview below groups typical Ants Extermination Service projects into broad ranges so you can see how smaller, mid-sized, and larger jobs often compare in your area.

In many markets, a large share of routine jobs stays in the lower and middle ranges, while only a smaller percentage of projects moves into the highest bands when the work is more complex or site conditions are harder than average.

Smaller Repairs - Typical costs for minor ant control jobs usually range from $250 to $600. Many routine treatments fall within this middle range, depending on the extent of the infestation and property size.

Standard Extermination - For standard ant infestations requiring treatment of multiple areas, local service providers often charge between $600 and $1,200. Larger or more persistent problems may push costs higher, but most projects stay within this band.

Large-Scale Treatments - Extensive ant control projects, such as large properties or severe infestations, can range from $1,200 to $3,000. While fewer jobs reach this level, complex cases or multiple visits can increase the overall cost.

Full Property Extermination - Complete property treatments or ongoing maintenance plans typically cost $3,000 or more. These larger, more comprehensive projects are less common but necessary for severe or recurring ant issues.

Actual totals will depend on details like access to the work area, the scope of the project, and the materials selected, so use these as general starting points rather than exact figures.

Get a Quote

Pest Control for Cockroaches - professionals use similar inspection, treatment, and prevention techniques to eliminate infestations effectively.

Termite Treatment Services - require planning and application of specialized products, paralleling ant extermination strategies to protect structures.

Rodent Control Projects - involve identifying entry points and implementing trapping or baiting methods akin to ant control methods.

Spider Pest Removal - demand targeted treatments and habitat management skills similar to those used in ant extermination.

Bed Bug Eradication Services - involve detailed inspection and treatment plans comparable to ant control procedures.

Mosquito Control Solutions - include site assessment and application techniques that align with pest management practices for ants.

Ants Extermination Service

When comparing local contractors for ant extermination services, it’s important to consider their experience with similar projects. Homeowners should inquire about how long a service provider has been handling ant control and whether they have successfully managed situations comparable to their own. An experienced contractor will typically demonstrate familiarity with different types of ants and effective treatment methods, which can contribute to more reliable results. Recognizing a provider’s background in ant extermination helps ensure that the chosen professional understands the specific challenges involved and has a proven track record in addressing them.

Clear written expectations are essential when selecting a service provider. Homeowners should seek detailed information about the scope of work, the methods used, and any follow-up procedures. Having a transparent plan helps prevent misunderstandings and ensures that both parties are aligned on what will be done. Reputable local contractors often provide comprehensive descriptions of their services, allowing homeowners to evaluate whether the approach matches their needs. Clear communication about expectations also fosters trust and makes it easier to compare different providers objectively.

Reputable references and good communication are key factors in choosing a reliable ant extermination service. Homeowners should ask for references from previous clients who have had similar issues, to gain insight into the quality of work and professionalism. Additionally, effective communication-whether through prompt responses, willingness to answer questions, or clarity in explanations-indicates a contractor’s commitment to customer service. A service provider that maintains open lines of communication and can provide verifiable references is more likely to deliver a positive experience. It’s important to remember that this site introduces homeowners to local options, but the actual work is performed by qualified service providers, not the site itself.

Get an Ants Extermination Service Quote

Property owners use Ants Extermination Service services for practical projects around their homes and businesses. This guide focuses on everyday jobs and straightforward project options.

Ants Extermination Service
Ants Extermination Service

Ants can quickly become a nuisance for property owners dealing with everyday issues such as food contamination, property damage, or persistent infestations in kitchens, basements, or outdoor spaces. Local contractors specializing in ant extermination are often called upon to address these common situations, helping to restore comfort and prevent further problems caused by these tiny pests. Whether it’s a sudden invasion or a recurring issue, many property owners seek the expertise of nearby service providers to eliminate ants and safeguard their homes and businesses.

In addition to immediate infestations, property owners may also look for ant extermination services to prevent future outbreaks, especially during warmer months when ants are more active. Simple reasons for seeking professional help include maintaining a clean environment, protecting food supplies, and avoiding the inconvenience of ongoing pest issues. Local service providers are equipped to handle these routine situations efficiently, offering solutions tailored to the specific needs of homes and commercial properties in the area.

Get an Ants Extermination Service Quote

How do local contractors handle ant infestations? Local service providers typically assess the extent of the ant problem and apply targeted treatments to eliminate colonies and prevent future invasions.

What types of ant control methods are used? Common methods include baiting, barrier treatments, and dust applications, depending on the severity and location of the infestation.

Are there environmentally safe options available? Many local contractors offer treatment options that minimize environmental impact while effectively controlling ant populations.

Can ant extermination services prevent future infestations? Yes, professionals often provide advice and treatments to help reduce the likelihood of recurring ant problems.

What should I expect during an ant extermination service? Service providers typically conduct an inspection, apply treatments where necessary, and offer recommendations for ongoing prevention.

Ants Prevention Strategies - Property owners can implement preventative measures to reduce ant attractants around their homes, such as sealing entry points and removing food sources, with guidance from local contractors.

Interior Ant Control Solutions - When ants invade living spaces, homeowners can seek professional interior treatments to eliminate nests and prevent future infestations.

Exterior Pest Barrier Installation - Property owners may choose to have local service providers install barriers around the property perimeter to keep ants from entering.

Ongoing Pest Management Plans - For continuous protection, property owners can work with local pros to develop maintenance plans that address ant activity over time.

Ants Extermination Service

If you are thinking about Ants Extermination Service for a property, this guide is meant to help you understand the work, the typical project types, and how different options might fit your plans.

When you are ready, you can use the quote form on this page to share a few details about your project. From there, local pros can review the basics and respond with options that match what you have in mind.

Get a Quote

Ants Extermination Quotes

Our Trusted Partners
Kilter Termite and Pest Control
Venning Pest Control
Peppermint Pest Control